Home / Forum / Gesundheit / Rote Stellen ohne Haare am "Ellenbogen"

Verfasser-Bild
Hannah
Einleitungs-Beitrag
Anzahl der Antworten 12
zuletzt 31. Dez.

Rote Stellen ohne Haare am "Ellenbogen"

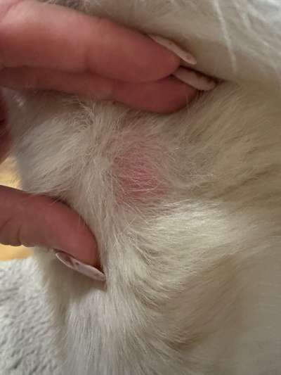
Unsere Hündin hat seit einiger Zeit rote Stellen an denen keine Haare mehr wachsen an den "Ellenbogen" vorne an beiden Beinchen. Sie ist erst 1 1/2 Jahre alt, deshalb kommt es mir iwie komisch vor... Ich denke es sind Liegestellen, da es definitiv kein Hotspot ist, sie kratzt oder knibbelt nicht dran. Was kann man gegen diese Stellen tun?
 
Beitrag-Verfasser-Bild
Michele
Beliebteste Antwort
27. Dez. 21:29
Das hat meiner auch, schon seit er 8 Monate alt war oder so. Wenn der Hund gerne auf hartem Boden liegt, gibt es das gerne mal.

Unser Tierarzt hat gesagt, solange nichts entzündet ist, ist das nicht schlimm. Ich hatte mal eine Zeit lang versucht täglich einzucremen. Half aber auch nicht.

Lustigerweise seit wir intensives Deckentraining machen, liegt er hauptsächlich auf seinem Bettchen und die Liegestellen sind weniger geworden.
 
Beitrag-Verfasser-Bild
Sylvia
27. Dez. 21:24
Unsere Hund hatten so etwas, als sie Fuchräudemilben hatten. Vielleicht mal den TA dahingehend fragen. Stronghold Spoton 3 mal alle 4 Wochen hat geholfen.
 
Beitrag-Verfasser-Bild
Hannah
27. Dez. 21:25
Unsere Hund hatten so etwas, als sie Fuchräudemilben hatten. Vielleicht mal den TA dahingehend fragen. Stronghold Spoton 3 mal alle 4 Wochen hat geholfen.
Also es ist an beiden Seiten genau die gleiche Stelle, nur auf der einen etwas mehr..
 
Beitrag-Verfasser
Dogorama-Mitglied
27. Dez. 21:25
Bei liegeschwielen hilft Kokosöl. Einfach bisschen was auf die Finger und kurz einmassieren.

Ich bin mir aber nicht sicher ob es in eurem Fall liegeschwielen sind.
 
Beitrag-Verfasser-Bild
Hannah
27. Dez. 21:26
Bei liegeschwielen hilft Kokosöl. Einfach bisschen was auf die Finger und kurz einmassieren. Ich bin mir aber nicht sicher ob es in eurem Fall liegeschwielen sind.
Ja das hab ich auch gehört mit dem Kokosöl und habe es vorhin drauf gemacht...
 
Beitrag-Verfasser-Bild
Michele
27. Dez. 21:29
Das hat meiner auch, schon seit er 8 Monate alt war oder so. Wenn der Hund gerne auf hartem Boden liegt, gibt es das gerne mal.

Unser Tierarzt hat gesagt, solange nichts entzündet ist, ist das nicht schlimm. Ich hatte mal eine Zeit lang versucht täglich einzucremen. Half aber auch nicht.

Lustigerweise seit wir intensives Deckentraining machen, liegt er hauptsächlich auf seinem Bettchen und die Liegestellen sind weniger geworden.
 
Beitrag-Verfasser-Bild
Sylvia
27. Dez. 21:33
Also es ist an beiden Seiten genau die gleiche Stelle, nur auf der einen etwas mehr..
Bei unseren und weiteren Hunden aus der Nachbarschaft, die viel im Wald unterwegs waren, sah es wie Liegeschwielen an beiden Ellenbogen aus. Die Ohrspitzen hatten dann auch leichte Krusten. Ist nur so eine Idee, wo hier sich die TÄ auch anfangs schwer getan haben. Einige Hunde wurden zunächst auf Allergie behandelt bis klar wurde, daß es die Fuchsräude im Anfangsstadium war.
 
Beitrag-Verfasser-Bild
Michele
27. Dez. 21:36
Bei unseren und weiteren Hunden aus der Nachbarschaft, die viel im Wald unterwegs waren, sah es wie Liegeschwielen an beiden Ellenbogen aus. Die Ohrspitzen hatten dann auch leichte Krusten. Ist nur so eine Idee, wo hier sich die TÄ auch anfangs schwer getan haben. Einige Hunde wurden zunächst auf Allergie behandelt bis klar wurde, daß es die Fuchsräude im Anfangsstadium war.
Wenns nicht juckt, würde ich da mal keine Panik schieben 😁
 
Beitrag-Verfasser-Bild
Hannah
27. Dez. 21:41
Das hat meiner auch, schon seit er 8 Monate alt war oder so. Wenn der Hund gerne auf hartem Boden liegt, gibt es das gerne mal. Unser Tierarzt hat gesagt, solange nichts entzündet ist, ist das nicht schlimm. Ich hatte mal eine Zeit lang versucht täglich einzucremen. Half aber auch nicht. Lustigerweise seit wir intensives Deckentraining machen, liegt er hauptsächlich auf seinem Bettchen und die Liegestellen sind weniger geworden.
Ja sie liebt es auf dem Boden zu liegen egal wo. Deckentraining haben wir auch hinter uns, das beherrscht sie eigentlich. Vielleicht mag sie es einfach 🥲😅
 
Beitrag-Verfasser-Bild
Hannah
27. Dez. 21:41
Bei unseren und weiteren Hunden aus der Nachbarschaft, die viel im Wald unterwegs waren, sah es wie Liegeschwielen an beiden Ellenbogen aus. Die Ohrspitzen hatten dann auch leichte Krusten. Ist nur so eine Idee, wo hier sich die TÄ auch anfangs schwer getan haben. Einige Hunde wurden zunächst auf Allergie behandelt bis klar wurde, daß es die Fuchsräude im Anfangsstadium war.
Puh Danke für den Tipp. Sind eigentlich eher selten im Wald tatsächlich. Ich beobachte das mal weiter 😱
 
Beitrag-Verfasser-Bild
Sylvia
27. Dez. 22:06
Puh Danke für den Tipp. Sind eigentlich eher selten im Wald tatsächlich. Ich beobachte das mal weiter 😱
Muss ja nicht sein. War nur meine Erfahrung mit Liegeschwielen, ohne daß die Hunde auf harten Boden liegen. Berichte bitte doch wie es bei euch weiter geht und was es ist🤗