Home / Forum / Gesundheit / Wolfskralle komisch verwachsen

Verfasser-Bild
Nico
Einleitungs-Beitrag
Anzahl der Antworten 9
zuletzt 9. März

Wolfskralle komisch verwachsen

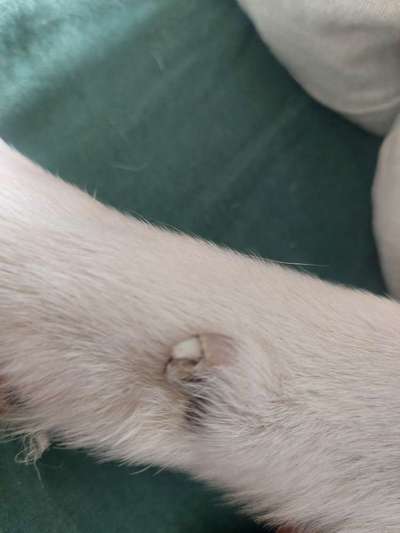
Hallo zusammen, kann mir jemand sagen, was man da machen kann, wenn die Kralle so komisch verwachsen ist? Ist ein Tierarztbesuch notwendig? Danke für eure Antworten! LG Nico & Marley
 
Beitrag-Verfasser-Bild
Jochen
Beliebteste Antwort
9. März 11:49
Das ist die Daumenkralle. Die Wolfskrallen befinden sich an den Hinterläufen (wenn).
Die Daumenkralle bei deinem sieht schon gespalten und gebrochen aus. Wenn das Bett nicht entzündet ist, würde ich das beobachten und ggf. Nagelhärter applizieren.
Edit: Ach sehe gerade, könnte auch hinten sein.
 
Beitrag-Verfasser-Bild
Uschi
9. März 10:47
Hallo, ich würde TA gucken lassen, nicht selbst was machen
 
Beitrag-Verfasser-Bild
Philipp
9. März 11:11
Das sind diese sogenannten wolfskrallen. Bei meinem wurden 2 entfernt die an den vorderläufen sind da. Ich würde den TA einmal draufschauen lassen. Sie müssen nicht immer entfernt werden.
 
Beitrag-Verfasser-Bild
Nico
9. März 11:14
Das sind diese sogenannten wolfskrallen. Bei meinem wurden 2 entfernt die an den vorderläufen sind da. Ich würde den TA einmal draufschauen lassen. Sie müssen nicht immer entfernt werden.
Danke für deine Antwort. Das es eine Wolfsktalle ist, ist mir klar. Frage mich aber, warum das so komisch verwachsen ist?
Das Problem ist, dass Tierärzte mittlerweile wegen jeder Kleinigkeit eine Menge Geld nehmen.
Darum versuche ich immer erst selbst nach Lösungen zu finden.
 
Beitrag-Verfasser-Bild
Thomas Alexander
9. März 11:32
Meine erste Hündin hat sich eine öfters eingerissen. Da die bei unseren Familienmitgliedern nicht unbedingt notwendig sind habe ich Die entfernen lassen. Machte keinen Unterschied.
 
Beitrag-Verfasser-Bild
Kathleen
9. März 11:42
Hallo 🙋‍♀️
Ich muss einmal fragen ist das die Vorder- oder Hinterpfote??
Und hättest du mal noch nen anderes Bild aus einer anderen Perspektive??
Bzw. Beide Pfoten zum vergleichen auf ein Bild??
So finde ich sieht die Kralle doch ganz normal aus, nicht entzündet oder so!!
Vielleicht etwas kurz, hat sich dein Hund die Kralle mal abgerissen??
Lg
 
Beitrag-Verfasser-Bild
Jochen
9. März 11:49
Das ist die Daumenkralle. Die Wolfskrallen befinden sich an den Hinterläufen (wenn).
Die Daumenkralle bei deinem sieht schon gespalten und gebrochen aus. Wenn das Bett nicht entzündet ist, würde ich das beobachten und ggf. Nagelhärter applizieren.
Edit: Ach sehe gerade, könnte auch hinten sein.
 
Beitrag-Verfasser-Bild
Sonja
9. März 11:56
Sieht für mich aus als ob die Kralle mal gespalten /abgebrochen war und die neue jetzt wächst und die alte nach und nach rausschiebt/abstösst. Also wie bei uns wenn wir einen Finger- /Zehennagel verletzen. Ich würde einfach beobachten und wenn der Hund nicht darauf reagiert also normal läuft, sich nichts entzündet, dick wird, nicht auf Berührung/Druck schmerzhaft reagiert... die Natur mache lassen
 
Beitrag-Verfasser-Bild
Michi
9. März 12:42
Ds ist die Daumenkralle.
Sieht bei meinem Hund derzeit genauso aus. Seine Kralle war komplett gespalten und dann ist irgendwann die Unterseite abgegangen.Das Krallenbein liegt frei und oben habe ich das Horn massiv gekürzt.
Deiner hatte vielleicht auch eine Krallenverletzung.
Ich würde es beobachten.
Es sollte sich nur nicht entzünden.
Bei Gelegenheit kannst du es ja mal beim Tierarzt zeigen.
 
Beitrag-Verfasser-Bild
Michi
9. März 12:57
Das ist die Daumenkralle. Die Wolfskrallen befinden sich an den Hinterläufen (wenn). Die Daumenkralle bei deinem sieht schon gespalten und gebrochen aus. Wenn das Bett nicht entzündet ist, würde ich das beobachten und ggf. Nagelhärter applizieren. Edit: Ach sehe gerade, könnte auch hinten sein.
Bis auf den Nagelhärter gehe ich mit.
Sollte das Krallenbein freiliegen, was wir nicht erkennen können, dann würde das ziemlich unangenehm sein.