Home / Forum / Gesundheit / Pickel am Körper

Verfasser-Bild
Lana
Einleitungs-Beitrag
Anzahl der Antworten 9
zuletzt 12. Dez.

Pickel am Körper

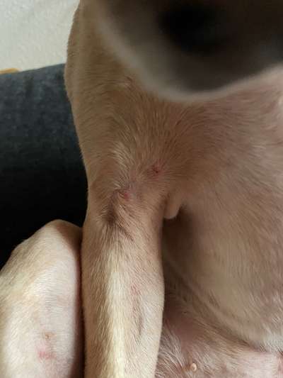
Bruno hat am Körper verteilt so krustige Pickel und ich habe das Gefühl, dass sie mehr werden. Er fiept ab und zu auch. Ich weiß nicht ob das eine was mit dem anderen zutun hat aber ich mache mir ein wenig Sorgen. Weiß jemand vielleicht was das sein könnte? Oder bekommen manche Hunde einfach Pickel, so ähnlich wie bei Menschen?
 
Beitrag-Verfasser-Bild
Marion
Beliebteste Antwort
12. Dez. 11:30
Hallo Lana
Unser Mailo hatte das gleiche Problem im Mai. Wir waren beim Tierarzt und er bekam ein Shampoo das wir alle 2 Tage anwenden mussten. Es hat ca. 6 Wochen gedauert bis die Pickel endlich weg waren. Wir haben dann über andere Hundebesitzer erfahren das es kleine Fliegen gibt,die den Hund beissen und die stellen dann anfangen zu jucken und später sogar borkig werden. Und die sind wohl dieses Jahr viel unterwegs. Im Gras,im Laub und sogar im Wald. Also kann man diesen Getier kaum aus dem Weg gehen. Gute Nachricht ist aber..... Das Shampoo hilft wirklich und der Hund muss sich nicht mehr so kratzen.
 
Beitrag-Verfasser-Bild
Christian
12. Dez. 10:28
Vielleicht Flohbisse ?
 
Beitrag-Verfasser-Bild
Tobias
12. Dez. 10:30
Kläre das mit deinem Tierarzt ab
 
Beitrag-Verfasser-Bild
Maria
12. Dez. 10:43
Lieber zum TA gehen,aber sie bekommen auch Pickel wie wir 😉
 
Beitrag-Verfasser-Bild
Kim
12. Dez. 11:14
Ist das ein junger Hund ? Wenn ja könnte es eine Jungtierpyodermie haben die wie der Name sagt besonders junge Hunde haben :) ist eine Hautentzündung. Geh zu deinem Tierarzt evtl braucht er ein Antibiotikum dafür .lg
 
Beitrag-Verfasser-Bild
Marion
12. Dez. 11:30
Hallo Lana
Unser Mailo hatte das gleiche Problem im Mai. Wir waren beim Tierarzt und er bekam ein Shampoo das wir alle 2 Tage anwenden mussten. Es hat ca. 6 Wochen gedauert bis die Pickel endlich weg waren. Wir haben dann über andere Hundebesitzer erfahren das es kleine Fliegen gibt,die den Hund beissen und die stellen dann anfangen zu jucken und später sogar borkig werden. Und die sind wohl dieses Jahr viel unterwegs. Im Gras,im Laub und sogar im Wald. Also kann man diesen Getier kaum aus dem Weg gehen. Gute Nachricht ist aber..... Das Shampoo hilft wirklich und der Hund muss sich nicht mehr so kratzen.
 
Beitrag-Verfasser
Dogorama-Mitglied
12. Dez. 12:00
Hallo Lana, dein Hund ist ja 2 Jahre alt und nach den Fotos zu urteilen hat er ehr sehr wenig Fell.
Kurzhaarigkeit bedeutet nicht gleichzeitig dünne und wenig Haare.

Ich würde eher sagen dein Hund reagiert auf irgendwas allergisch.
Das muss nicht unbedingt nur am Futter liegen. Es kann auch durch Waschmittel über seine Decke und/oder sein Mäntelchen entstehen.
Flöhe könnten unter Umständen auch Auslöser sein.
 
Beitrag-Verfasser-Bild
Annett
12. Dez. 12:47
Ich tippe auf Parasiten ( evtl. Flöhe) oder eine Allergie. Beides juckt und der Hund leckt oder kratzt sich an den Stellen.
 
Beitrag-Verfasser-Bild
Ulrike
12. Dez. 13:11
Bommel hat auch Knubbel. Laut TA soll es sich um harmlose Kalkablagerungen handeln
 
Beitrag-Verfasser-Bild
Lana
12. Dez. 13:29
Ich tippe auf Parasiten ( evtl. Flöhe) oder eine Allergie. Beides juckt und der Hund leckt oder kratzt sich an den Stellen.
Er kratzt sich zum Glück kaum und auch nicht an den Stellen