Home / Forum / Gesundheit / Hündin hat Zyste

Verfasser-Bild
Lucya
Einleitungs-Beitrag
Anzahl der Antworten 7
zuletzt 3. Mai

Hündin hat Zyste

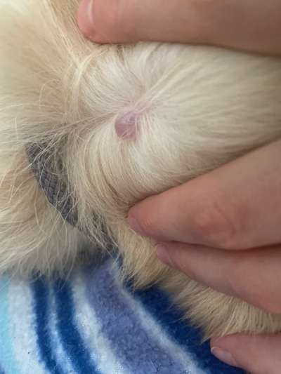
Heii ihr, meine Hündin Sophia hat eine Zyste am Hinterkopf. Unsere Tierärztin hatte sie beim ersten Mal aufgemacht und die Flüssigkeit entfernt, danach sollten wir beobachten ob sie wieder nachwächst. Leider kam sie wieder, jetzt möchte sie die Zyste entfernen. Das ganze Spektakel soll über 1000€ kosten. Die Kosten entstehen durch die Narkose und weil sie es ins Labor schicken möchte um zu schauen ob es bösartig ist was ja eigentlich nicht schlecht ist. Trotzdem würden wir uns jetzt gerne eine zweite Meinung einholen. Habt ihr vielleicht gute und nicht ganz so teure Tierärzte die ihr uns empfehlen könntet? Am besten in Berlin Mitte, Prenzlauer Berg, Friedrichshain oder auch Pankow. Danke schonmal im Voraus.
 
Beitrag-Verfasser-Bild
Celine
Beliebteste Antwort
17. Aug. 14:16
Danke hab ich ganz vergessen. 🙏
Gerne!

Dann kann ich dir Dr. Mauch Nähe Vinetastraße empfehlen.

Gigi hat vor 3 Monaten ein Geschwür rausoperiert bekommen, was ebenfalls eingeschickt wurde.
Wir haben ca 350 Euro bezahlt.

Das ist noch ein Tierarzt, der nicht alles berechnet und nicht die höchste Gebührenordnung berechnet.
 
Beitrag-Verfasser-Bild
Celine
17. Aug. 14:10
Dafür müsstest du deinen Wohnort ergänzen. 😊
 
Beitrag-Verfasser-Bild
Lucya
17. Aug. 14:14
Dafür müsstest du deinen Wohnort ergänzen. 😊
Danke hab ich ganz vergessen. 🙏
 
Beitrag-Verfasser-Bild
Celine
17. Aug. 14:16
Danke hab ich ganz vergessen. 🙏
Gerne!

Dann kann ich dir Dr. Mauch Nähe Vinetastraße empfehlen.

Gigi hat vor 3 Monaten ein Geschwür rausoperiert bekommen, was ebenfalls eingeschickt wurde.
Wir haben ca 350 Euro bezahlt.

Das ist noch ein Tierarzt, der nicht alles berechnet und nicht die höchste Gebührenordnung berechnet.
 
Beitrag-Verfasser-Bild
Lucya
18. Aug. 17:41
Gerne! Dann kann ich dir Dr. Mauch Nähe Vinetastraße empfehlen. Gigi hat vor 3 Monaten ein Geschwür rausoperiert bekommen, was ebenfalls eingeschickt wurde. Wir haben ca 350 Euro bezahlt. Das ist noch ein Tierarzt, der nicht alles berechnet und nicht die höchste Gebührenordnung berechnet.
Wow oke das ist ein großer Preisunterschied. Danke! 🙏
 
Beitrag-Verfasser-Bild
Manuela
25. Juli 16:37
Was war es denn?
 
Beitrag-Verfasser-Bild
Sonja
3. Mai 18:16
Magst du erzählen, was daraus wurde? Meine Hündin hat auch so eine Zyste. LG!
 
Beitrag-Verfasser-Bild
Lena
3. Mai 20:10
Magst du erzählen, was daraus wurde? Meine Hündin hat auch so eine Zyste. LG!
Hey! Mein Hund hatte auch so eine Zyste in der Leistenregion. Bei uns wurde es auch ins Labor geschickt und um Endeffekt war es nur ne gutartige Zellanhäufung. Bei uns wurde es komplett rausgeschnitten und dann zusammen genäht. Alles in allem ~300€ gekostet.
Hoffe die Info hilft 😁