Home / Forum / Gesundheit / Hubbel unter der Haut//was könnte das sein?

Verfasser-Bild
Fiona
Einleitungs-Beitrag
Anzahl der Antworten 4
zuletzt 7. Okt.

Hubbel unter der Haut//was könnte das sein?

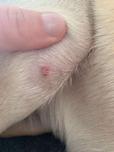
Hallo zusammen, Meine 2 jährige Labrador Hündin hat seit ein paar Tagen diese komischen Hubbel an den Beinen. Einer davon sieht auch rot und entzündet aus. Diese Hubbel waren gefühlt über Nacht da. Sie verhält sich ganz normal und weh tut es ihr anscheinend auch nicht. Unsere Tierärztin meint es seien Entzündungen die mit einer Salbe wieder weggehen. Das probieren wir im Moment. Vielleicht hat jemand von euch da Erfahrungen oder kennt etwas ähnliches und hat ein paar Tipps für uns. Vielen Dank und liebe Grüße! 😊
 
Beitrag-Verfasser-Bild
Daria
5. Okt. 17:45
Das seht so aus, als hätte sie auf was allergisch reagiert.
 
Beitrag-Verfasser-Bild
Daria
5. Okt. 17:49
Meiner hat so was unter der Lefze gehabt, wurde immer mehr, dann sagte die Ärztin, dass er Alergiesch auf Metall reagiert. Müsste die Töpfe aus Keramik kaufen, nach ein ein halb Wochen war alles weg. Sie könnte aber auf was anderes allergisch reagiert haben, weil sie das auf der Pfoten hat. Gute Besserung
 
Beitrag-Verfasser-Bild
Fiona
6. Okt. 20:06
Danke! Das ist ein guter Tipp. Ich überleg mal auf was sie vielleicht reagieren könnte 😊
 
Beitrag-Verfasser
Iris
7. Okt. 04:36
Genau solche stellen hatt meiner auch und die scheinen ihn auch zu jucken. Wurde auch nach fFutter wechsel nicht besser. Danke werde das mit den Näpfen mal ausprobieren