Home / Forum / Gesundheit / Hautveränderung

Verfasser-Bild
Clemens
Einleitungs-Beitrag
Anzahl der Antworten 4
zuletzt 30. Dez.

Hautveränderung

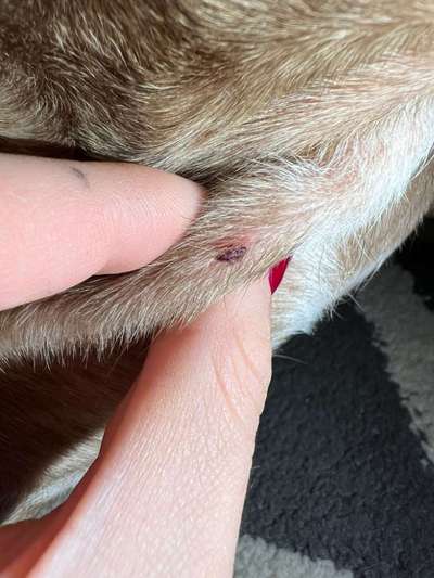
Hallo, haben vor ca. 4 Jahren diese Fellnase übernommen da der Vorbesitzer aus zeitlichen Gründen sich nicht mehr um den Hund kümmern konnte. Er ist mittlerweile 8 Jahre alt und liebt es zu toben. Wir lieben unseren Anuk. Vor kurzem ist uns dieser Knoten bzw. diese Hautveränderung aufgefallen. Für mich sieht es komisch aus kann es aber natürlich nicht richtig beurteilen und wollte deswegen hier gerne andere Meinungen hören. Könnte es ein Leberfleck sein? Er zeigt keine Symptome das es ihn kratzt oder sonstiges. Sollten wir damit zum Tierarzt gehen? Bin ein wenig verunsichert. Freue mich über eure Antworten! Vielen Dank!
 
Beitrag-Verfasser-Bild
Doris
Beliebteste Antwort
5. Dez. 12:06
Bitte gehe damit zum Tierarzt. Die Rasse hat verschiedene Anfälligkeiten. Ich würde es abklären lassen.
 
Beitrag-Verfasser-Bild
Doris
5. Dez. 12:06
Bitte gehe damit zum Tierarzt. Die Rasse hat verschiedene Anfälligkeiten. Ich würde es abklären lassen.
 
Beitrag-Verfasser-Bild
Frank
5. Dez. 12:11
Bitte gehe damit zum Tierarzt. Die Rasse hat verschiedene Anfälligkeiten. Ich würde es abklären lassen.
Hi,Frank hier
Völlig richtig, ab zum Arzt, kurzhaarige Hunde sind eher anfällig für Hautkrankheiten, bitte keine Hobbybastler fragen.....
Alles GUTE Frank
 
Beitrag-Verfasser-Bild
Heike
5. Dez. 12:12
Mit solchen Hautveränderungen bitte immer zum Tierarzt! Es könnte ein schnell metastasierender Tumor sein, je früher desto besser sollte das kontrolliert werden. Will keine Angst machen, lieber ein mal checken lassen, wenn dann alles gut ist bist du ja auch beruhigt.
 
Beitrag-Verfasser-Bild
Clemens
30. Dez. 18:43
Hallo, leider kommt die Antwort von mir recht spät. Waren ein paar Tage drauf beim Tierarzt. Er konnte es rein optisch auch nicht richtig beurteilen. Was mir allerdings noch einfiel , Nuki hatte in diesem Bereich im Sommer einen Zeck bei welchem der Kopf stecken blieb. Zusätzlich verlief sein altes Geschirr genau über diese Wunde. Auf Anweisung vom Tierarzt sollen wir es mit einer entzündungshemmenden Salbe versuchen. Sollte es nicht verschwinden würde er es entfernen. Doch jetzt, ca. ein Monat später ist es bereits viel kleiner und scheint ab zu heilen. Das alte Geschirr schien dort gerieben zu haben und verhinderte das Abheilen. Gott sei Dank wird es jetzt kleiner. Vielen Dank an alle für die Einstufung bzw. für die Hilfe. Lg 🥰