Home / Forum / Medizinische Sprechstunde / Zeckenbiss mit rotem Fleck

Verfasser-Bild
Tatjana
Einleitungs-Beitrag
Anzahl der Antworten 2
zuletzt 29. Apr.

Zeckenbiss mit rotem Fleck

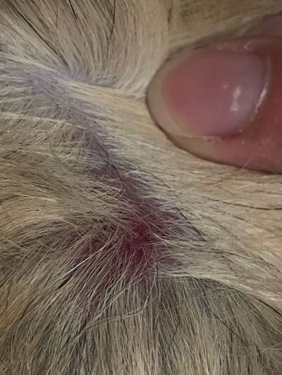
Hallo! Habe gerade eine zecke bei unserer fellnase entfernt -die Stelle war bereits sehr rot. Die zecke selbst war schon tot, da sie symparica bekommt. Dass es jetzt so entzündet aussieht, bin ich etwas beunruhigt. Kann ich etwas tun, um die Entzündung zu bekämpfen….mit der Hoffnung dass keine weiteren Krankheitserreger übertragen worden sind?! Schon einmal vielen Dank!!
 
Beitrag-Verfasser-Bild
Tatjana
Beliebteste Antwort
29. Apr. 10:06
Hallo Tatjana, In den meisten Fällen geht ein Zeckenbiss mit einer Entzündungsreaktion, wie auch in deinem Fall, einher. Es kommt zur Rötung, Schwellung, lokaler Erwärmung und ggf. Schmerzhaftigkeit. Selbst, wenn ein Stück Zeckenkopf stecken bleibt, ist der Körper durchaus in der Lage das Überbleibsel abzukapseln und selber abzustoßen. Du kannst die Stelle etwas Kühlen und Manukasalbe auftragen. Wenn es anschwillt oder du dir dennoch unsicher bist, kannst du im Laufe der nächsten Woche zur Sprechstunde bei einem Tierarzt vorstellig werden.
Hallo Steffi,
Jetzt hatte ganz ich vergessen zu antworten…sehr unhöflich von mir. Vielen Dank für deine schnelle Antwort! Das hat mich auf jeden Fall beruhigt und unserer Jule geht es nach wie vor gut. Rötung hab ich jetzt auch nicht mehr sehen können.

Viele Grüße vom Bodensee!
 
Beitrag-Verfasser-Bild
Steffi
23. Apr. 21:09
Hallo Tatjana,
In den meisten Fällen geht ein Zeckenbiss mit einer Entzündungsreaktion, wie auch in deinem Fall, einher.
Es kommt zur Rötung, Schwellung, lokaler Erwärmung und ggf. Schmerzhaftigkeit.
Selbst, wenn ein Stück Zeckenkopf stecken bleibt, ist der Körper durchaus in der Lage das Überbleibsel abzukapseln und selber abzustoßen.

Du kannst die Stelle etwas Kühlen und Manukasalbe auftragen.

Wenn es anschwillt oder du dir dennoch unsicher bist, kannst du im Laufe der nächsten Woche zur Sprechstunde bei einem Tierarzt vorstellig werden.
 
Beitrag-Verfasser-Bild
Tatjana
29. Apr. 10:06
Hallo Tatjana, In den meisten Fällen geht ein Zeckenbiss mit einer Entzündungsreaktion, wie auch in deinem Fall, einher. Es kommt zur Rötung, Schwellung, lokaler Erwärmung und ggf. Schmerzhaftigkeit. Selbst, wenn ein Stück Zeckenkopf stecken bleibt, ist der Körper durchaus in der Lage das Überbleibsel abzukapseln und selber abzustoßen. Du kannst die Stelle etwas Kühlen und Manukasalbe auftragen. Wenn es anschwillt oder du dir dennoch unsicher bist, kannst du im Laufe der nächsten Woche zur Sprechstunde bei einem Tierarzt vorstellig werden.
Hallo Steffi,
Jetzt hatte ganz ich vergessen zu antworten…sehr unhöflich von mir. Vielen Dank für deine schnelle Antwort! Das hat mich auf jeden Fall beruhigt und unserer Jule geht es nach wie vor gut. Rötung hab ich jetzt auch nicht mehr sehen können.

Viele Grüße vom Bodensee!