Home / Forum / Medizinische Sprechstunde / Vermutlich Rattenbiss

Verfasser
Steffi
Einleitungs-Beitrag
Anzahl der Antworten 3
zuletzt 16. Juli

Vermutlich Rattenbiss

Auf dem Weg nach Hause vom Gassigang (in der Dunkelheit) wollte Silas pinkeln und ging dazu an die Seite der Straße. Plötzlich hat er viel und laut gequiekt - ich habe nachgesehen und dachte, dass er sein Bein in einem verbogenen Radständer geklemmt hat. Sein Gang ist völlig normal. Jetzt zu Hause leckt er die ganze Zeit sein Bein. Habe also nochmal nachgeschaut und eine kleinen Stelle am Bein gefunden. Könnte von der Größe ein Biss sein, einer Ratte eventuell? Sollte ich das kontrollieren lassen oder erstmal im Blick behalten, ob es sich entzündet o.ä.? Die Impfungen sind alle auf stand. Vielen Dank!
 
Beitrag-Verfasser-Bild
Tom
Beliebteste Antwort
16. Juli 12:15
Hi Steffi,

Da Ratten im Maul leider oftmals unschöne Keime tragen wäre die Stelle etwas vorsichtiger anzugehen.

Grundsätzlich würde ich die Wunde von einem Tierarzt untersuchen lassen und ggf auch vorsichtshalber das Tier insgesamt behandeln lassen. Da die Wunde wohl letzte Nacht entstanden ist und somit nicht ganz frisch ist wäre meine Frage wie diese Wunde derzeit aussieht. Ist sie stark entzündet und nässt sie stark? Können sie einschätzen wie tief sie ist?

Ich bin nämlich etwas unsicher ob es sinnvoll ist sie jetzt am Sonntag in den Notdienst damit zu schicken oder ob sie das ausreicht morgen früh sonst einfach bei ihrem Arzt das abklären und behandeln zu lassen. Am besten sie rufen da mal den Notdienst bei Ihnen an (Tierklinik oder tierärztlicher Notdienst „Ihr Landkreis“ googeln) und besprechen das mit denen wie sie das so angehen würden bzw. ob sie es für angebracht halten die Wunde jetzt zu versorgen.

Impfungen sind aber sehr gut, da gerade die Leptospiren (das L in den Kombiimpfungen) eine Gefahr sind.

Hoffe das hilft etwas weiter.

LG🐾
 
Beitrag-Verfasser-Bild
Tom
16. Juli 12:15
Hi Steffi,

Da Ratten im Maul leider oftmals unschöne Keime tragen wäre die Stelle etwas vorsichtiger anzugehen.

Grundsätzlich würde ich die Wunde von einem Tierarzt untersuchen lassen und ggf auch vorsichtshalber das Tier insgesamt behandeln lassen. Da die Wunde wohl letzte Nacht entstanden ist und somit nicht ganz frisch ist wäre meine Frage wie diese Wunde derzeit aussieht. Ist sie stark entzündet und nässt sie stark? Können sie einschätzen wie tief sie ist?

Ich bin nämlich etwas unsicher ob es sinnvoll ist sie jetzt am Sonntag in den Notdienst damit zu schicken oder ob sie das ausreicht morgen früh sonst einfach bei ihrem Arzt das abklären und behandeln zu lassen. Am besten sie rufen da mal den Notdienst bei Ihnen an (Tierklinik oder tierärztlicher Notdienst „Ihr Landkreis“ googeln) und besprechen das mit denen wie sie das so angehen würden bzw. ob sie es für angebracht halten die Wunde jetzt zu versorgen.

Impfungen sind aber sehr gut, da gerade die Leptospiren (das L in den Kombiimpfungen) eine Gefahr sind.

Hoffe das hilft etwas weiter.

LG🐾
 
Beitrag-Verfasser
Steffi
16. Juli 13:46
Hi Steffi, Da Ratten im Maul leider oftmals unschöne Keime tragen wäre die Stelle etwas vorsichtiger anzugehen. Grundsätzlich würde ich die Wunde von einem Tierarzt untersuchen lassen und ggf auch vorsichtshalber das Tier insgesamt behandeln lassen. Da die Wunde wohl letzte Nacht entstanden ist und somit nicht ganz frisch ist wäre meine Frage wie diese Wunde derzeit aussieht. Ist sie stark entzündet und nässt sie stark? Können sie einschätzen wie tief sie ist? Ich bin nämlich etwas unsicher ob es sinnvoll ist sie jetzt am Sonntag in den Notdienst damit zu schicken oder ob sie das ausreicht morgen früh sonst einfach bei ihrem Arzt das abklären und behandeln zu lassen. Am besten sie rufen da mal den Notdienst bei Ihnen an (Tierklinik oder tierärztlicher Notdienst „Ihr Landkreis“ googeln) und besprechen das mit denen wie sie das so angehen würden bzw. ob sie es für angebracht halten die Wunde jetzt zu versorgen. Impfungen sind aber sehr gut, da gerade die Leptospiren (das L in den Kombiimpfungen) eine Gefahr sind. Hoffe das hilft etwas weiter. LG🐾
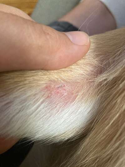
Danke für die Rückmeldung!

Ich bin mir nicht mal sicher, ob das eine Ratte war. Hier ist ein Bild. Die Stelle an sich ist leicht gerötet und nässt nicht. Vielleicht hat er sich auch nur gequetscht und erschreckt. Hab im Dunkeln leider nichts sehen können..
 
Beitrag-Verfasser-Bild
Tom
16. Juli 18:32
Danke für die Rückmeldung! Ich bin mir nicht mal sicher, ob das eine Ratte war. Hier ist ein Bild. Die Stelle an sich ist leicht gerötet und nässt nicht. Vielleicht hat er sich auch nur gequetscht und erschreckt. Hab im Dunkeln leider nichts sehen können..
Hi nochmal,

Ja da wäre Notdienst wohl doch recht übertrieben. Sieht ja echt nicht nach viel aus so und bei Unsicherheit würde ich da dann auch eher zu beobachten und ggf rechtzeitig reagieren übergehen.

Daher würde ich vorschlagen das mal mit Wasser grob zu reinigen und sofern vorhanden mit Jodsalbe oder Manuka Salbe etwas einzucremen. Sollte der Hund rangehen wollen wäre das bitte zu unterbinden. Ansonsten je nach Entwicklung des Ganze reagieren. Heilt es gut ab wäre nichts nötig ansonsten bei starker Rötung, Schwellung oder Eiter bitte zum Tierarzt damit.

LG🐾