Home / Forum / Medizinische Sprechstunde / Verletzte Haut?

Verfasser-Bild
Laura
Einleitungs-Beitrag
Anzahl der Antworten 6
zuletzt 12. Nov.

Verletzte Haut?

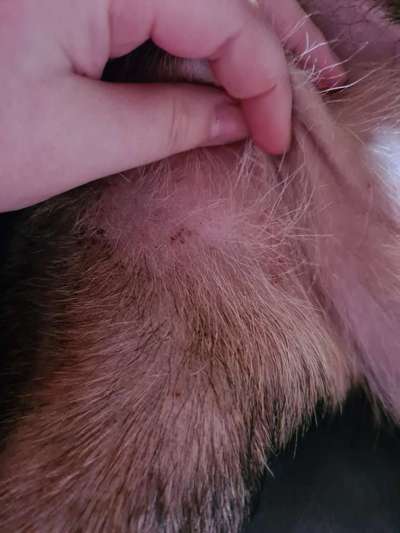
Hallo meine Hündin (4 Jahre, Dackelmischling) hat seit kurzem so komische punkte/Stellen auf der Haut sie hatte vor 1 Monat einen flohbefall aber diese sind wir losgeworden und jetzt frage ich mich was das ist ich hoffe jemand kann mir weiterhelfen
 
Beitrag-Verfasser-Bild
Laura
11. Nov. 11:55
Sie schleckt sich auch sehr intensiv an dieser Stelle
 
Beitrag-Verfasser-Bild
Tom
11. Nov. 12:50
Hi Laura,

Was genau heißt flohbefall losgeworden? Was wurde gemacht?

Gab es irgendwelche Änderungen bezüglich Futter ?

Frisst und trinkt sie normal? Kot und Harnabsatz normal?

Wo sind diese Punkte so am Körper verteilt?

Mit den Antworten kann ich bestimmt weiterhelfen.

LG
 
Beitrag-Verfasser-Bild
Laura
11. Nov. 13:02
Hi Laura, Was genau heißt flohbefall losgeworden? Was wurde gemacht? Gab es irgendwelche Änderungen bezüglich Futter ? Frisst und trinkt sie normal? Kot und Harnabsatz normal? Wo sind diese Punkte so am Körper verteilt? Mit den Antworten kann ich bestimmt weiterhelfen. LG
Sie hat frontline bekommen wie immer das wirkt bei ihr immer gut kämme sie auch täglich mit einem flohkamm zur kontrolle wohnung wurde geputzt und behandelt Änderungen des Futters eigentlich nicht aber sie isst zur zeit weniger sie war vor kurzem läufig und sie war bei der letzten läufigkeit scheinschwanger und wenn es bei dieser auch auftritt dann sollte ich über eine OP nachdenken laut Tierarzt trinken tut sie auch normal sie darf alle 3 Stunden raus in den Garten macht da auch jedes mal pipi und Kot jeden Tag 1-2 mal die Punkte sind auf den innenschenkeln und hinten neben ihrem hintern
 
Beitrag-Verfasser-Bild
Laura
11. Nov. 13:05
Sie hat frontline bekommen wie immer das wirkt bei ihr immer gut kämme sie auch täglich mit einem flohkamm zur kontrolle wohnung wurde geputzt und behandelt Änderungen des Futters eigentlich nicht aber sie isst zur zeit weniger sie war vor kurzem läufig und sie war bei der letzten läufigkeit scheinschwanger und wenn es bei dieser auch auftritt dann sollte ich über eine OP nachdenken laut Tierarzt trinken tut sie auch normal sie darf alle 3 Stunden raus in den Garten macht da auch jedes mal pipi und Kot jeden Tag 1-2 mal die Punkte sind auf den innenschenkeln und hinten neben ihrem hintern
Ich habe ihr jetzt ein Spray aufgetragen Manuka Lind und es hilft gegen den Juckreiz seitdem kratzt sie sich nicht mehr oder leckt sich an der stelle das ist noch von meinen Kater der hatte vor 5 Monaten eine Wunde und die wurde damit behandelt
 
Beitrag-Verfasser-Bild
Tom
12. Nov. 21:09
Hi Laura,

Einen Zusammenhang zu einer möglichen Scheinschwangerschaft sehe ich jetzt nicht direkt mit den Punkten.

Leider muss ich Ihnen sagen dass das wahrscheinlichste vom aussehen und der Verteilung der Stellen eine Flohspeichelallergie ist. Kann sein das die Punkte vorher da waren und ihnen noch nicht aufgefallen waren oder ob an der Umgebung vllt irgendwas nicht gereinigt wurde.

Andere hauterkrankungen scheinen etwas unpassend.

LG
 
Beitrag-Verfasser-Bild
Tom
12. Nov. 21:12
Kriegt sie denn gerade noch frontline? Das kann nämlich selbst einen Juckreiz auslösen.