Home / Forum / Medizinische Sprechstunde / Röntgenbild HD?

Verfasser-Bild
Andrea
Einleitungs-Beitrag
Anzahl der Antworten 1
zuletzt 25. Juli

Röntgenbild HD?

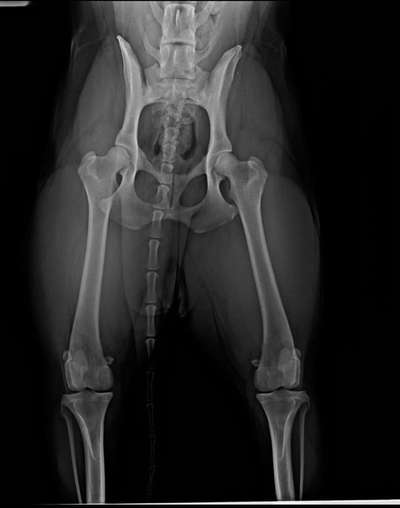
Meine Hündin lahmt seit Monaten . War schon bei drei Tierärzten , die nichts festgestellt haben . Heute war ich auf anraten einer Osteopathin bei einem anderen Tierarzt. Als ich ohm das Röntgenbild zeigte sagte er das es seine Diagnose bestätigt. Er vermutet HD
 
Beitrag-Verfasser-Bild
Nora
25. Juli 08:05
Hallo Andrea,

Leider sind duplizierte Röntgenbilder immer schlechter auszuwerten, als die Orginalen. Feine Zeichnungen, die Hinweise auf Fehlbelastungen oder krankhafte Prozesse geben können, gehen durch die Duplikation verloren. Auf den ersten Blick sieht die Hüfte deines Hundes für mich aber nicht stark verändert aus. Dies heißt aber nicht, dass nicht Anzeichen einer HD vorliegen können.

Um eine HD sicher diagnostizieren zu können, muss eine spezielle Aufnahme des Hüftgelenks erstellt werden. Hierbei ist es wichtig, dass der Hund vollkommen gerade liegt. Anschließend wird mithilfe des sogenannten Norberg-Winkels die Winkelung der Oberschenkelköpfe zur Gelenkspfanne ermittelt. Bei gesunden Hunden sollte dieser Wert über 105° liegen. Zusätzlich werden die Oberflächen der Oberschenkelhalsköpfe sowie der Gelenkspfannen genau beurteilt. Ungleichmäßigkeiten geben Hinweise auf eine vorliegende HD.
Bei der Diagnosestellung wird dein Tierarzt diese Parameter genau beurteilt und somit eine HD bei deinem Hund sicher diagnostiziert haben. Solltest du dennoch unsicher über das Urteil sein kannst du durch eine Zweitmeinung die Diagnose von einem erfahrenen Orthopäden/Orthopädin für Kleintiere absichern lassen. Entsprechende Fachleuchte findest du in Tierkliniken oder spezialisierten Tierarztpraxen.

Alles Gut euch beiden 🐾