Home / Forum / Medizinische Sprechstunde / OP im Welpenalter erforderlich?

Verfasser-Bild
Mona
Einleitungs-Beitrag
Anzahl der Antworten 2
zuletzt 12. Mai

OP im Welpenalter erforderlich?

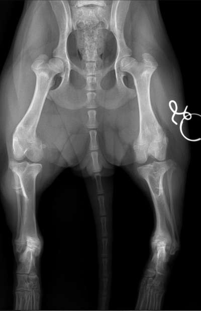
Unsere 5 Monate alte Hündin hat im Hinterlauf eine diagnostizierte halbseitigen Verschluss der wachstumsfuge. Aktuell zeigt sich das beim laufen so, das es einseitig wirkt, als hat sie ein O-Bein. Die Muskulatur ist schwächer ausgeprägt als auf der anderen Seite und sie wird wackeliger wenn die Spaziergänge länger werden. Es kann auch mal bei Raufen mit anderen Hunden dazuführen, dass sie kaum Gefühl im Fuß hat und es einige Minuten braucht. Die Op hätte es in sich. Vollnarkose und ein Stück Knochen würde entfernt werden…. Mir macht das Angst. Geht das nicht auch anders?
 
Beitrag-Verfasser-Bild
Mona
Beliebteste Antwort
12. Mai 20:40
Hallo Mona, Diese Erkrankung gibt es sowohl im Bereich der Vorder- als auch der Hintergliedmaßen und betrifft vor allem sogenannte chondrodystrophe Hunderassen, wie Dackel, Pekinesen oder Französische Bulldoggen. Anhand des Röntgenbildes liegt vermutlich eine Wachstumsstörung im gelenknahen Bereich des Schienbeinknochens der linken Hintergliedmaße vor. Die untere Wachstumsfuge schließt zu frühzeitig. Diese Wachstumsfuge ist maßgeblich entscheidend für ein ausreichendes Längenwachstum des Knochens. Ist sie geschlossen, ist das Längenwachstum vermindert. Das Wadenbein wächst dabei aber normal weiter in die Länge. Aufgrund der mangelnden Knochenhärte im Welpen- und Junghundealter kommt es zur Biegung des schneller wachsenden Knochens, sprich des Wadenbeins. Durch eine frühzeitige Operation des Schienbeins (an der Wachstumsfuge) kann die Fehlstellung der Gliedmaße einfach verbessert werden. Sind die Tiere bereits ausgewachsen, ist eine kompliziertere kombinierte Operation von Schien- und Wadenbein notwendig, in der versucht wird die Achsenabweichung zu korrigieren. Demnach ist es besser und sinnvoller die Tiere so früh wie möglich operieren zu lassen, bzw. sobald die Wachstumsstörung festgestellt wird. Es gibt verschiedene OP-Methoden, welche je nach Drehung der Pfote und Stufenbildung der Knochen individuell vom Chirurgen festgelegt werden. Alternativen gibt es leider nicht, da das Wachstum nur eines Knochens medikamentös nicht beeinflusst werden kann. Je älter die Hunde sind, umso schwieriger die Korrektur und umso langsamer verhält sich das Knochenwachstum und die Heilung. Außerdem kann es ohne OP mit zunehmendem Alter aufgrund der Fehlbelastung zu frühzeitigeren Arthrosen und zunehmendem ein- bis beidseitigem Muskelabbau kommen.
Danke, das war doch einiges mehr an Information als was ich bislang erfahren habe. Klingt für mich sehr plausibel und nachvollziehbar und auch die Notwendigkeit im Jungtieralter ist deutlich klarer geworden. Dankeschön
 
Beitrag-Verfasser-Bild
Steffi
12. Mai 09:55
Hallo Mona,
Diese Erkrankung gibt es sowohl im Bereich der Vorder- als auch der Hintergliedmaßen und betrifft vor allem sogenannte chondrodystrophe Hunderassen, wie Dackel, Pekinesen oder Französische Bulldoggen. Anhand des Röntgenbildes liegt vermutlich eine Wachstumsstörung im gelenknahen Bereich des Schienbeinknochens der linken Hintergliedmaße vor. Die untere Wachstumsfuge schließt zu frühzeitig. Diese Wachstumsfuge ist maßgeblich entscheidend für ein ausreichendes Längenwachstum des Knochens. Ist sie geschlossen, ist das Längenwachstum vermindert. Das Wadenbein wächst dabei aber normal weiter in die Länge. Aufgrund der mangelnden Knochenhärte im Welpen- und Junghundealter kommt es zur Biegung des schneller wachsenden Knochens, sprich des Wadenbeins.
Durch eine frühzeitige Operation des Schienbeins (an der Wachstumsfuge) kann die Fehlstellung der Gliedmaße einfach verbessert werden.
Sind die Tiere bereits ausgewachsen, ist eine kompliziertere kombinierte Operation von Schien- und Wadenbein notwendig, in der versucht wird die Achsenabweichung zu korrigieren.
Demnach ist es besser und sinnvoller die Tiere so früh wie möglich operieren zu lassen, bzw. sobald die Wachstumsstörung festgestellt wird.
Es gibt verschiedene OP-Methoden, welche je nach Drehung der Pfote und Stufenbildung der Knochen individuell vom Chirurgen festgelegt werden.
Alternativen gibt es leider nicht, da das Wachstum nur eines Knochens medikamentös nicht beeinflusst werden kann.
Je älter die Hunde sind, umso schwieriger die Korrektur und umso langsamer verhält sich das Knochenwachstum und die Heilung. Außerdem kann es ohne OP mit zunehmendem Alter aufgrund der Fehlbelastung zu frühzeitigeren Arthrosen und zunehmendem ein- bis beidseitigem Muskelabbau kommen.
 
Beitrag-Verfasser-Bild
Mona
12. Mai 20:40
Hallo Mona, Diese Erkrankung gibt es sowohl im Bereich der Vorder- als auch der Hintergliedmaßen und betrifft vor allem sogenannte chondrodystrophe Hunderassen, wie Dackel, Pekinesen oder Französische Bulldoggen. Anhand des Röntgenbildes liegt vermutlich eine Wachstumsstörung im gelenknahen Bereich des Schienbeinknochens der linken Hintergliedmaße vor. Die untere Wachstumsfuge schließt zu frühzeitig. Diese Wachstumsfuge ist maßgeblich entscheidend für ein ausreichendes Längenwachstum des Knochens. Ist sie geschlossen, ist das Längenwachstum vermindert. Das Wadenbein wächst dabei aber normal weiter in die Länge. Aufgrund der mangelnden Knochenhärte im Welpen- und Junghundealter kommt es zur Biegung des schneller wachsenden Knochens, sprich des Wadenbeins. Durch eine frühzeitige Operation des Schienbeins (an der Wachstumsfuge) kann die Fehlstellung der Gliedmaße einfach verbessert werden. Sind die Tiere bereits ausgewachsen, ist eine kompliziertere kombinierte Operation von Schien- und Wadenbein notwendig, in der versucht wird die Achsenabweichung zu korrigieren. Demnach ist es besser und sinnvoller die Tiere so früh wie möglich operieren zu lassen, bzw. sobald die Wachstumsstörung festgestellt wird. Es gibt verschiedene OP-Methoden, welche je nach Drehung der Pfote und Stufenbildung der Knochen individuell vom Chirurgen festgelegt werden. Alternativen gibt es leider nicht, da das Wachstum nur eines Knochens medikamentös nicht beeinflusst werden kann. Je älter die Hunde sind, umso schwieriger die Korrektur und umso langsamer verhält sich das Knochenwachstum und die Heilung. Außerdem kann es ohne OP mit zunehmendem Alter aufgrund der Fehlbelastung zu frühzeitigeren Arthrosen und zunehmendem ein- bis beidseitigem Muskelabbau kommen.
Danke, das war doch einiges mehr an Information als was ich bislang erfahren habe. Klingt für mich sehr plausibel und nachvollziehbar und auch die Notwendigkeit im Jungtieralter ist deutlich klarer geworden. Dankeschön