Home / Forum / Medizinische Sprechstunde / Neue Hüfte?

Verfasser-Bild
Janina
Einleitungs-Beitrag
Anzahl der Antworten 8
zuletzt 20. Feb.

Neue Hüfte?

Hallo liebes Tierarzt Team! Kann man anhand eines Hüft röntgenbildes schon den grad der HD feststellen, oder kann man das erst anhand des MRT sagen? Lieben Dank 😊
 
Beitrag-Verfasser-Bild
Janina
Beliebteste Antwort
20. Feb. 15:17
Das war mit schmerzmittel, wobei sie heute auch so läuft wenn ich noch keine gegeben habe. Termin mit Physio hab ich ausgemacht.
Ich bin schon gespannt und freue mich.
Vielen Dank
 
Beitrag-Verfasser-Bild
Steffi
15. Feb. 09:11
Hallo Janina,
Die Röntgenuntersuchung auf HD sollte an einem voll entwickelten Skelett ab einem Alter von mindestens 12 Monaten (bei großwüchsigen und Riesenrassen mit 18 Monaten) erfolgen. Das Tier muss zur Untersuchung narkotisiert und speziell gelagert werden. Die Röntgenaufnahmen werden dann nach sehr präzisen Kriterien bewertet. Sofern es sich um ein „offizielles“ HD-Röntgen für die Zucht handelt, erfolgt diese durch erfahrene, meist geprüfte Bewerter, sogenannter „HD-Zentralen“.
Abhängig von den Röntgenaufnahmen, bzw. im Rahmen einer bevorstehenden Operation kann eine MRT-Untersuchung zusätzlich notwendig sein, um das umliegende Weichteilgewebe beurteilen zu können, wie die Bänder, Sehnen, Muskulatur, Knorpel und Gelenkkapsel.
 
Beitrag-Verfasser-Bild
Janina
15. Feb. 09:23
Hallo Janina, Die Röntgenuntersuchung auf HD sollte an einem voll entwickelten Skelett ab einem Alter von mindestens 12 Monaten (bei großwüchsigen und Riesenrassen mit 18 Monaten) erfolgen. Das Tier muss zur Untersuchung narkotisiert und speziell gelagert werden. Die Röntgenaufnahmen werden dann nach sehr präzisen Kriterien bewertet. Sofern es sich um ein „offizielles“ HD-Röntgen für die Zucht handelt, erfolgt diese durch erfahrene, meist geprüfte Bewerter, sogenannter „HD-Zentralen“. Abhängig von den Röntgenaufnahmen, bzw. im Rahmen einer bevorstehenden Operation kann eine MRT-Untersuchung zusätzlich notwendig sein, um das umliegende Weichteilgewebe beurteilen zu können, wie die Bänder, Sehnen, Muskulatur, Knorpel und Gelenkkapsel.
Dankeschön. Meine Hündin ist schon 7 Jahre alt. Und die HD Röntgenbilder mit Narkose wurden beim Tierarzt gemacht. Kann man anhand der Röntgenbilder den Grad der HD feststellen?
Lieben Dank
 
Beitrag-Verfasser-Bild
Janina
15. Feb. 10:02
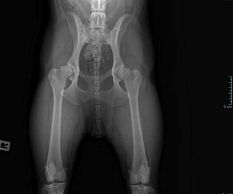
Rechte Seite schlimmer
 
Beitrag-Verfasser-Bild
Janina
15. Feb. 10:03
Seitliche Aufnahme mit spondylose
 
Beitrag-Verfasser-Bild
Steffi
15. Feb. 10:16
Ja, mithilfe spezieller Messungen kann der Grad der HD anhand des Röntgenbildes beurteilt werden.

Welche Symptome hat dein Hund?
 
Beitrag-Verfasser-Bild
Janina
15. Feb. 10:51
Ja, mithilfe spezieller Messungen kann der Grad der HD anhand des Röntgenbildes beurteilt werden. Welche Symptome hat dein Hund?
Okay, das wurde vom Tierarzt nicht gemacht.
Was denken Sie anhand des Röntgenbildes?

Symptome: letzten Mittwoch Bewegungs Unlust, daraufhin waren wir beim Tierarzt. Die haben dann geröngt. Jetzt bekommt sie Schmerzmittel, aber wenn man es nicht wüsste, würde man ihr es nicht anmerken, das sie HD hat
 
Beitrag-Verfasser-Bild
Steffi
18. Feb. 11:14
Hallo Janina,
In der Tiermedizin gilt es in erster Linie darum, den Hund zu behandeln und nicht das Röntgenbild.
Was ich damit sagen möchte ist, dass sowohl das Gangbild, die Beschwerden des Hundes sowie die Untersuchungsergebnisse bei der Therapie berücksichtigt werden müssen.
Anhand des Röntgenbildes (ich bin keine anerkannte geprüfte Expertin) handelt es sich um eine fortgeschrittene Dysplasie des rechten Hüftgelenks. Ist das Video unter Medikamentengabe entstanden oder von vorher?
Bei genauem Betrachten ist ein leicht steifer Gang der Hintergliedmaße erkennbar.
Vermutlich kann sie die Fehlstellung der Hüfte mithilfe ihrer Muskulatur noch gut kompensieren. Mit zunehmendem (altersbedingtem) Schwund der Muskulatur kann sich eine Verschlechterung des Gangbildes einstellen. Zusätzliche Arthrosen des betroffenen Gelenks durch den chronischen Reiz können zusätzlich die Beweglichkeit einschränken und zu vermehrter Schmerzhaftigkeit führen.
In akuten Fällen können entzündungshemmende Schmerzmittel gegeben werden. Diese führen allerdings dazu, dass der Hund sich wieder bewegen möchte. Zur Verbesserung der Bewegungsfähigkeit und Vermeidung von Muskelschwund sind vor allem kontrollierte Bewegungen des Hundes an der Leine auf weichen Böden (Wald, Wiesen) sowie Schwimmen hilfreich.
Physiotherapeutische Maßnahmen können sowohl prophylaktisch wie therapeutisch eingesetzt werden, z.B.in Form von passiver oder aktiver Bewegungstherapie, Massagen, Wasserlaufbandtherapie oder Elektrotherapie.
Futterergänzungsstoffe, wie Chondroitinsulfat, Glucosamin, Pentosanpolysulfat, Omega-3-Fettsäuren oder Grünlippmuschel-Extrakte können die Gelenke unterstützen.
Eine ausgewogene Mineralstoffversorgung (Calcium-Phosphor-Verhältnis) ist essentiell für einen optimale Knochen- und Knorpelstoffwechsel. Unter Rücksprache mit dem behandelnden Tierarzt oder einer spezialisierten Futtermittelberatung können, falls notwendig, Vitamin-D-Präparate substituiert werden.
Zusätzlich sollte unbedingt auf ein optimales Gewicht geachtet werden, da Übergewicht nachweißlich einen negativen Einfluss auf die Gelenkgesundheit hat.
Trotz aller Maßnahmen kann mit zunehmendem Alter eine chirurgische Versorgung notwendig werden.
 
Beitrag-Verfasser-Bild
Janina
20. Feb. 15:17
Das war mit schmerzmittel, wobei sie heute auch so läuft wenn ich noch keine gegeben habe. Termin mit Physio hab ich ausgemacht.
Ich bin schon gespannt und freue mich.
Vielen Dank