Home / Forum / Medizinische Sprechstunde / Kleine Pickel und gereiztes Auge

Verfasser-Bild
Jessica
Einleitungs-Beitrag
Anzahl der Antworten 2
zuletzt 25. Juli

Kleine Pickel und gereiztes Auge

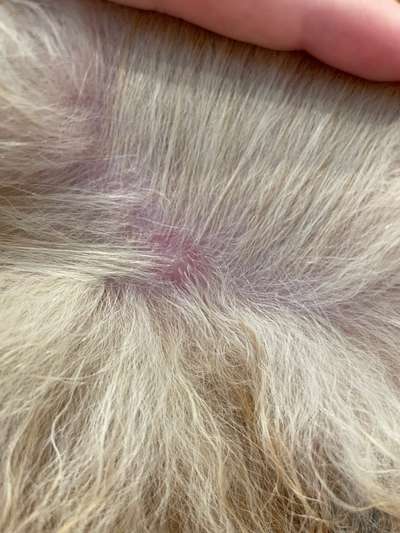
Hallo Liebes Team, Mein Kleinspitzrüde (2 Jahre alt,nicht kastriert) hat seit diesem Wochenende mehrere kleine Pickel am Körper verteilt, und leckt sich die Pfoten. Gestern habe ich zwei größere Knubbel hinterm Ohr und Wunde stellen an den Ohren entdeckt. (Bisse?Stiche?Ausschlag?) Seit vorhin nach dem Gassi ist sein Auge nun gerötet. Jetzt meine Frage ob das eventuell alles zusammenhängt und "nur" eine Allergie ist oder doch eher Parasiten (Milben, Flöhe, etc) dahinter stecken. (Werde morgen gleich den Tierarzt kontaktieren aber dachte bis dahin kann ich hier mal fragen) Danke im Voraus 🫶🏻
 
Beitrag-Verfasser-Bild
Tom
Beliebteste Antwort
24. Juli 09:07
Hi Jessica,

Viele der Symptome würden zu einer Allergie passen. Welche Art der Allergie wäre ich mir jedoch nicht ganz sicher, da das Tränen der Augen oftmals Umwelt anzeigt aber die Pfoten und Ohren die Jucken auch Futtermittelallergien anzeigen können. Der Pickel auf dem Bild kann theoretisch dazugehören, da der aber gefüllt aussieht könnte das auch ein separates kleines Problem darstellen da das eher unüblich wäre für eine Allergie. Ich kann aber leider nicht ausschließen, dass etwas wie Flöhe usw auch eine Rolle spielt, daher am besten einmal abklären lassen heute und am besten was gegen den Juckreiz geben lassen. Die Stellen an den Ohren sehen nämlich eher wie aufgekratzt auf als „reaktiv“.

Hoffe das hilft etwas weiter.

LG🐾
 
Beitrag-Verfasser-Bild
Tom
24. Juli 09:07
Hi Jessica,

Viele der Symptome würden zu einer Allergie passen. Welche Art der Allergie wäre ich mir jedoch nicht ganz sicher, da das Tränen der Augen oftmals Umwelt anzeigt aber die Pfoten und Ohren die Jucken auch Futtermittelallergien anzeigen können. Der Pickel auf dem Bild kann theoretisch dazugehören, da der aber gefüllt aussieht könnte das auch ein separates kleines Problem darstellen da das eher unüblich wäre für eine Allergie. Ich kann aber leider nicht ausschließen, dass etwas wie Flöhe usw auch eine Rolle spielt, daher am besten einmal abklären lassen heute und am besten was gegen den Juckreiz geben lassen. Die Stellen an den Ohren sehen nämlich eher wie aufgekratzt auf als „reaktiv“.

Hoffe das hilft etwas weiter.

LG🐾
 
Beitrag-Verfasser-Bild
Jessica
25. Juli 11:27
Hi Jessica, Viele der Symptome würden zu einer Allergie passen. Welche Art der Allergie wäre ich mir jedoch nicht ganz sicher, da das Tränen der Augen oftmals Umwelt anzeigt aber die Pfoten und Ohren die Jucken auch Futtermittelallergien anzeigen können. Der Pickel auf dem Bild kann theoretisch dazugehören, da der aber gefüllt aussieht könnte das auch ein separates kleines Problem darstellen da das eher unüblich wäre für eine Allergie. Ich kann aber leider nicht ausschließen, dass etwas wie Flöhe usw auch eine Rolle spielt, daher am besten einmal abklären lassen heute und am besten was gegen den Juckreiz geben lassen. Die Stellen an den Ohren sehen nämlich eher wie aufgekratzt auf als „reaktiv“. Hoffe das hilft etwas weiter. LG🐾
Hallo Tom,
Vielen lieben Dank für die Antwort, das allein war schon viel hilfreicher und aussagekräftiger als das was meine Tierärztin zu sagen hatte. 😊
Juckreiz hatte er nur an der einen Stelle am Ohr weshalb er seit Samstag eine Halskrause trägt, der große Pickel ist mittlerweile zurückgegangen und ich hoffe dass es den kleinen Pickeln auch so ergeht.
Ich werde das jetzt noch weiterhin beobachten und falls keine Besserung eintritt noch einen anderen TA besuchen.

Danke und liebe Grüße 🐕