Home / Forum / Medizinische Sprechstunde / Hund kratzt sich bis es blutet?

Verfasser
Maxi
Einleitungs-Beitrag
Anzahl der Antworten 5
zuletzt 16. Apr.

Hund kratzt sich bis es blutet?

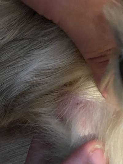
Hallo, mein Hund kratzt sich sehr oft an den vorderen pfoten ich nenns da mal „ellebogen“ Wir dachten immer das ist weil sie noch wächst oder so aber dies ist nicht der Fall meine Mutter hat heute morgen nämlich blut an der Stelle gesehen wo sie sich immer kratzt, jaulen tut sie seit neuestem auch wenn sie sich kratzt. Flöhe hat sie keine wir haben nachgesehen, zecken auch keine. Ich würde zum Tierarzt gehen.. aber da gibt es ein Problem.. mein Bruder hatte gestern einen Schnelltest uen wurde positiv getestet was bedeutet fürs erste Quarantäne bis das Ergebnis eines eichtigen tests eingetroffen ist. Was soll ich tun? Wir waren alle negativ bis auf ihn. Gibt es einen online tierarzt? Kann ich trotzdem zum tierarzt? Hilfe (Bilder folgen)
 
Beitrag-Verfasser-Bild
Steffi
Beliebteste Antwort
16. Apr. 11:20
Hallo Maxi,
Leider habe ich noch keine Bilder erhalten.

Was habt ihr für einen Hund (Rasse)?
Wie alt ist er/sie?
Seit wann kratzt er/sie sich?
Wo genau? Pfoten, Sprunggelenk oder Ellenbogen?
Wie erfolgte die Untersuchung auf Flöhe?
Was füttert ihr (gerne Foto vom Futter)?
 
Beitrag-Verfasser-Bild
Steffi
16. Apr. 11:20
Hallo Maxi,
Leider habe ich noch keine Bilder erhalten.

Was habt ihr für einen Hund (Rasse)?
Wie alt ist er/sie?
Seit wann kratzt er/sie sich?
Wo genau? Pfoten, Sprunggelenk oder Ellenbogen?
Wie erfolgte die Untersuchung auf Flöhe?
Was füttert ihr (gerne Foto vom Futter)?
 
Beitrag-Verfasser
Maxi
16. Apr. 11:24
Hallo Maxi, Leider habe ich noch keine Bilder erhalten. Was habt ihr für einen Hund (Rasse)? Wie alt ist er/sie? Seit wann kratzt er/sie sich? Wo genau? Pfoten, Sprunggelenk oder Ellenbogen? Wie erfolgte die Untersuchung auf Flöhe? Was füttert ihr (gerne Foto vom Futter)?
Also.. es ist ein Mischling sie ist 4 monate alt
Seit wir sie bekommen haben kratzt sie sich am Ellenbogen
Eine verwandte von mir hat nachgesehen
 
Beitrag-Verfasser
Maxi
16. Apr. 11:26
Hallo Maxi, Leider habe ich noch keine Bilder erhalten. Was habt ihr für einen Hund (Rasse)? Wie alt ist er/sie? Seit wann kratzt er/sie sich? Wo genau? Pfoten, Sprunggelenk oder Ellenbogen? Wie erfolgte die Untersuchung auf Flöhe? Was füttert ihr (gerne Foto vom Futter)?
Ob sie flöhe hat oder nicht, sie kennt sich etwas aus weil wir schonmal einen hund hatten auf das wir aufpassen mussten dieser hatte flöhe

Wir füttern sie mit Wolfsblut und pedigree welpenfutter
 
Beitrag-Verfasser
Maxi
16. Apr. 11:34
Hallo Maxi, Leider habe ich noch keine Bilder erhalten. Was habt ihr für einen Hund (Rasse)? Wie alt ist er/sie? Seit wann kratzt er/sie sich? Wo genau? Pfoten, Sprunggelenk oder Ellenbogen? Wie erfolgte die Untersuchung auf Flöhe? Was füttert ihr (gerne Foto vom Futter)?
Ausserdem beisst sie sich immer wieder am bein und kratzt sich manchmal auch am hals, beides immer an der selben stelle
 
Beitrag-Verfasser
Maxi
16. Apr. 11:46
Hallo Maxi, Leider habe ich noch keine Bilder erhalten. Was habt ihr für einen Hund (Rasse)? Wie alt ist er/sie? Seit wann kratzt er/sie sich? Wo genau? Pfoten, Sprunggelenk oder Ellenbogen? Wie erfolgte die Untersuchung auf Flöhe? Was füttert ihr (gerne Foto vom Futter)?
Hier ein bild hab noch mehr