Radar
Giftköder
Auslaufgebiete
Hundetreffen
Hund vermisst
Gruppen
Wettbewerbe
Deine Stadt mit Hund
Dogorama Club
Dogorama Club
Dogorama Akademie
Dogorama Wissenswoche
Dogorama Hunde-Versicherungen
Wissen
Forum
Blog
Hundeführerschein
Dogorama Testberichte
Hundefutter Tests
Hundezubehör Tests
Unternehmen
Hundeschulen
Tierärzte
Hundeshops
Medizinische Dienstleistungen
Ernährungsberater
Hundefriseure
Hundepensionen
Gassi-Services
Tierfotografen
Tierheime
Tierbestatter
Weitere Unternehmen
Dogorama Business
Unternehmensprofil
Dogorama Ads
Download
Download
DE
🇩🇪 Deutsch (DE)
🇦🇹 Deutsch (AT)
🇨🇭 Deutsch (CH)
🇬🇧 English (GB)
Download
DE
🇩🇪 Deutsch (DE)
🇦🇹 Deutsch (AT)
🇨🇭 Deutsch (CH)
🇬🇧 English (GB)
Home
/
Forum
/
Medizinische Sprechstunde
/
Haut
Jeanine
Einleitungs-Beitrag
1
zuletzt 25. Okt.
Haut
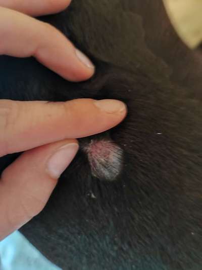
Hallo, habt ihr eine Idee was das sein kann ?
Tom
25. Okt. 15:34
Hi Jeanine,
Ich vermute einen Hautpilz. Da bitte beachten, dass der auch auf den Menschen übertragbar ist.
Alternativen wären Parasiten wie Milben eine Möglichkeit und Futtermittelallergie eine andere.
Wie alt ist das denn? Und juckt es ?
LG
Antworten
Du willst mitreden?
Lade dir Dogorama
kostenlos
im App Store oder Play Store herunter und schon kann es losgehen!